Search a Street, City, Province, RP Number or MLS® Number
 

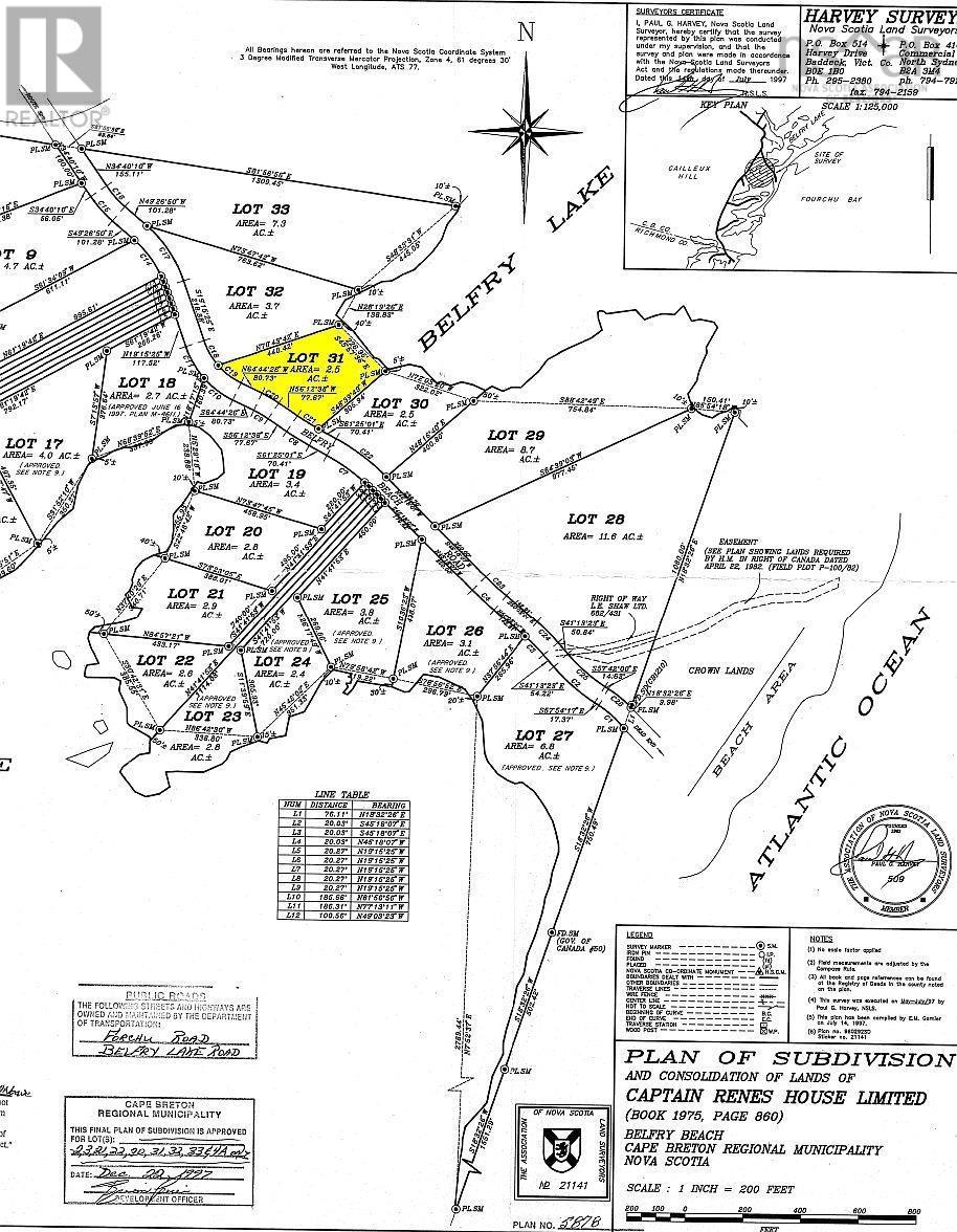
Lot 31 Belfry Lake Road Gabarus Lake, Nova Scotia B1K 2E8

No favourites found!

 

$59,000

MLS® Number: 202529486

This lakeside property sits in a sheltered spot on Belfry Lake, Cape Breton, right off the public gravel Belfry Lake Road, which connects to the Atlantic Ocean. The approximately 2.5 Acre lot has been surveyed and is ready for immediate development. It boasts roughly 226 feet of private lakefront. The property is perfectly suited for water activities. You can even install a floating dock. From your own private shoreline, you can launch your paddle board/kayak/canoe, swim, and fish on the expansive lake. Numerous usage options are possible. You can build your dream house on the lot, or, after installing an access road and preparing the building site, initially use it for holiday stays with a tent or RV in the first few years. There is no building obligation. No restrictive covenants exist. The vast Gabarus Wilderness Area is in the immediate vicinity, and the beautiful Belfry Beach can be reached either by kayak/canoe from your private lakefront or on foot via Belfry Lake Road in just a few minutes. This wonderfully expansive beach is perfect for long walks or, of course, swimming. Sydney, with its extensive infrastructure, diverse shopping opportunities, restaurants, medical care and entertainment options, is only about 45 minutes away and easily accessible via well-developed roads. The neighbouring Lot 30 is also available if more land and lakefront is desired. (id:59126)

Property Details

MLS® Number 202529486
Property Type Vacant Land
Community Name Gabarus Lake
Features Treed
View Type Lake View
Water Front Type Waterfront On Lake

Building

Utility Water None

Land

Acreage Yes
Sewer No Sewage System
Size Irregular 2.5
Size Total 2.5 Ac
Size Total Text 2.5 Ac

Parking

None

https://www.realtor.ca/real-estate/29189182/lot-31-belfry-lake-road-gabarus-lake-gabarus-lake

Contact Us

Contact us for more information

Generating Captcha

    Your Name *

    Your Email *

    Your Contact Number *

    Subject

    Your Message

    Thank you for contacting us, one of our colleagues will contact you shortly. Thank you.

    Lakeridge Property International

    close-link