Search a Street, City, Province, RP Number or MLS® Number
 

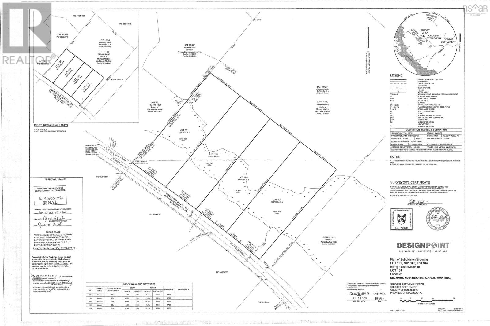
Lot 100-R Crouses Settlement Road Crouses Settlement, Nova Scotia B0J 2C0

No favourites found!

 

$79,000

MLS® Number: 202604221

Discover the ideal balance of natural beauty and everyday convenience with this prime 13 acre building lot on Crouses Settlement Road. The land is densely wooded with mature trees, offering both privacy and a diverse mix of timber, all within a peaceful forested setting. Just 15 minutes from Bridgewater and a little over 10 minutes from Lunenburg, the location provides a quick commute to essential amenities, shops, and services. Outdoor enthusiasts will love the close proximity to Becks Lakeonly a minutes drive awayfeaturing a picturesque sitting area and a rope swing for lakeside fun. Whether you're planning to build your dream home, create a private retreat, or invest in a property with potential, this lot offers a rare opportunity to enjoy Nova Scotia's natural charm without sacrificing access to nearby town conveniences. The seller is open to offering a discounted price for the purchase of multiple lots, presenting an excellent opportunity for developers or buyers looking to secure added privacy and acreage. (id:59126)

Property Details

MLS® Number 202604221
Property Type Vacant Land
Community Name Crouses Settlement
Features Treed

Building

Utility Water None

Land

Acreage Yes
Sewer No Sewage System
Size Irregular 13.2906
Size Total 13.2906 Ac
Size Total Text 13.2906 Ac

Parking

None

https://www.realtor.ca/real-estate/29450046/lot-100-r-crouses-settlement-road-crouses-settlement-crouses-settlement

Contact Us

Contact us for more information

Generating Captcha

    Your Name *

    Your Email *

    Your Contact Number *

    Subject

    Your Message

    Thank you for contacting us, one of our colleagues will contact you shortly. Thank you.

    Lakeridge Property International

    close-link