Search a Street, City, Province, RP Number or MLS® Number
 

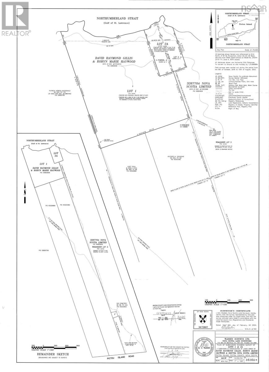
Lot 1 Pictou Island Road Pictou Island, Nova Scotia B0K 1J0

No favourites found!

 

$114,900

MLS® Number: 202604528
1

Your Off-Grid Escape Awaits on Pictou Island. If youve been waiting for a sign this is it. Welcome to your private retreat from the noise of the modern world, tucked away on the north shores of Pictou Island. With over 700 feet of pristine ocean frontage and 17 acres of land, this is where you can truly leave the real world' behind. The charming bunkie, built in 2018 and fully outfitted with everything you see, offers the perfect place to start living life off the grid. Wake to the sound of waves, sip your morning coffee with the ocean breeze, and end the day with spectacular sunsets over your private sandy cove. An outhouse is also thoughtfully in place an essential for sustainable, off-grid living. Accessed by a cleared right-of-way from Pictou Island Road, this property is your gateway to a simpler life. Spend your days swimming, snorkeling, paddling, or basking in the warm waters that rival the Carolinas. Your beach, your playground. Pictou Island isnt just a place its a way of life. Here, a vibrant, welcoming community shares a love of simplicity, connection, and the natural surroundings. In a world that moves too fast, find peace, adventure, and belonging. Secure your slice of the Northumberland Straits hidden jewel and start living the life youve been dreaming of. Your off-grid oasis awaits. (id:59126)

Property Details

MLS® Number 202604528
Property Type Single Family
Community Name Pictou Island
Features Recreational
View Type Ocean View
Water Front Type Waterfront On Ocean

Building

Bedrooms Above Ground 1
Bedrooms Total 1
Architectural Style Camp, Cottage
Basement Type None
Exterior Finish Vinyl
Flooring Type Other
Stories Total 1
Size Interior 192 Ft2
Total Finished Area 192 Sqft
Type Recreational
Utility Water None

Rooms

Level Type Dimensions

Land

Acreage Yes
Landscape Features Partially Landscaped
Size Irregular 17
Size Total 17 Ac
Size Total Text 17 Ac

https://www.realtor.ca/real-estate/29467709/lot-1-pictou-island-road-pictou-island-pictou-island

Contact Us

Contact us for more information

Generating Captcha

    Your Name *

    Your Email *

    Your Contact Number *

    Subject

    Your Message

    Thank you for contacting us, one of our colleagues will contact you shortly. Thank you.

    Lakeridge Property International

    close-link