Search a Street, City, Province, RP Number or MLS® Number
 

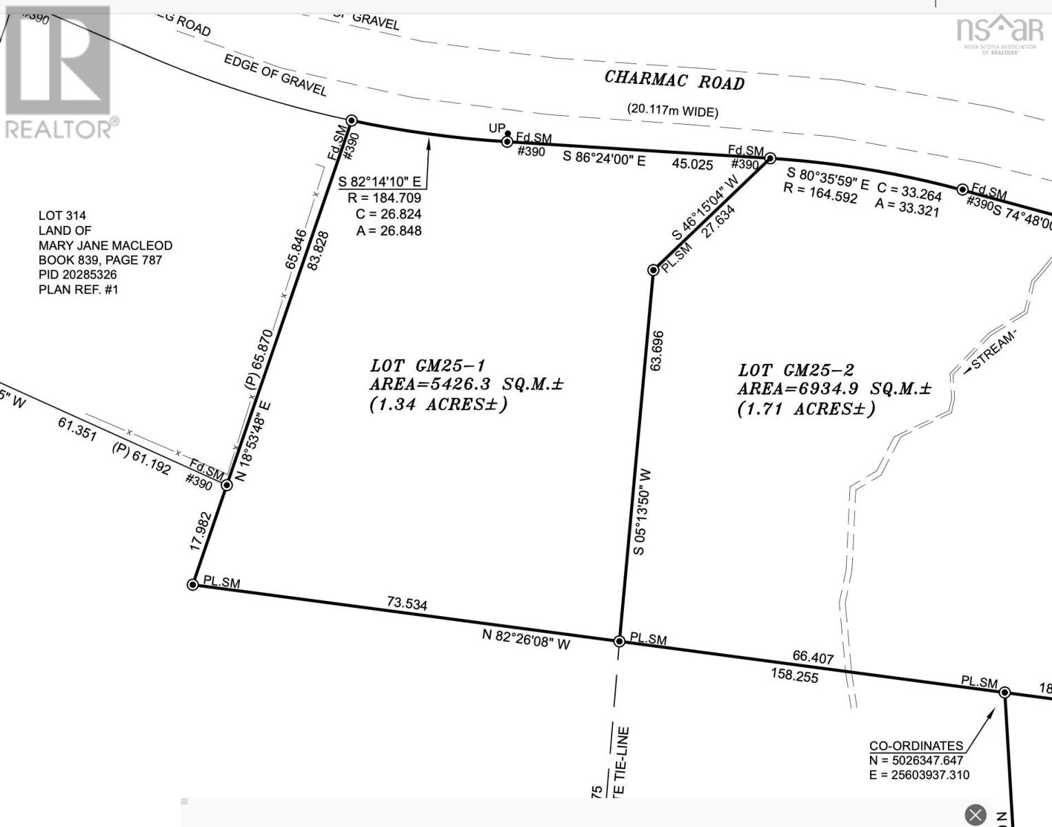
Gm25-1 Charmac Road Valley, Nova Scotia B6L 3E4

No favourites found!

 

$54,900

MLS® Number: 202602150

Great 1.34 +/- acre property to consider on Charmac Road in Valley! Wooded and fairly flat, put your driveway in and get your build started in the great community of Valley in this quiet road. Land is subject to HST over and above the purchase price. No mini homes are allowed in this community - owner covenants. (id:59126)

Property Details

MLS® Number 202602150
Property Type Vacant Land
Community Name Valley
Features Treed, Hardwood Bush

Building

Utility Water None

Land

Acreage Yes
Sewer No Sewage System
Size Irregular 1.3409
Size Total 1.3409 Ac
Size Total Text 1.3409 Ac

Parking

None

https://www.realtor.ca/real-estate/29325586/gm25-1-charmac-road-valley-valley

Contact Us

Contact us for more information

Generating Captcha

    Your Name *

    Your Email *

    Your Contact Number *

    Subject

    Your Message

    Thank you for contacting us, one of our colleagues will contact you shortly. Thank you.

    Lakeridge Property International

    close-link