Search a Street, City, Province, RP Number or MLS® Number
 

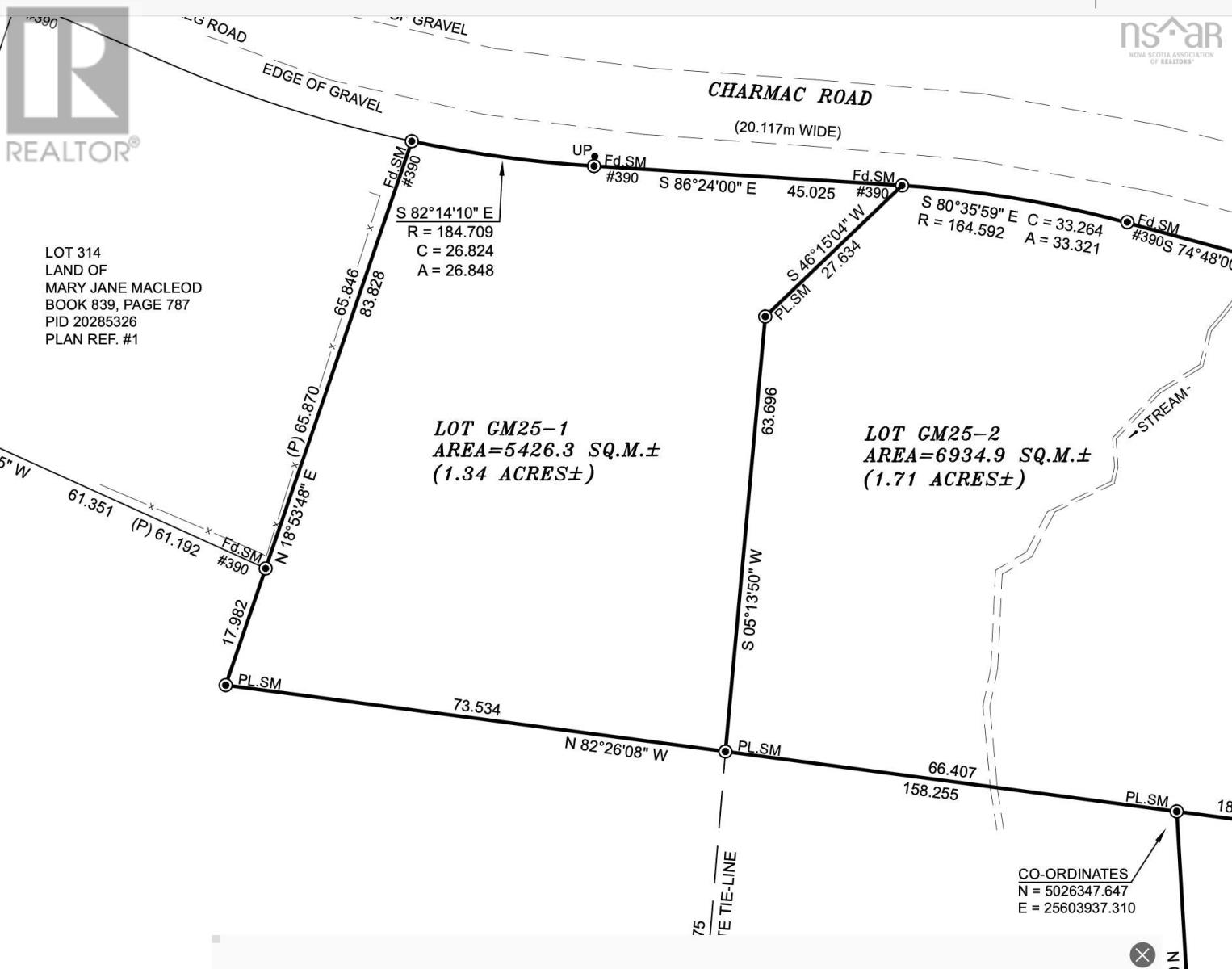
Gm25-1 Charmac Road Greenfield, Nova Scotia B6L 3E4

No favourites found!

 

$54,900

MLS® Number: 202602150

Great 1.34 +/- acre property to consider on Charmac Road in Greenfield! Wooded and fairly flat, put your driveway in and get your build started in the great community of Greenfield in this quiet road. All costs to subdivide and survey the lot will be handled by the seller prior to closing and new PID to be assigned. Land is subject to HST over and above the purchase price. No mini homes are allowed in this community - owner covenants. (id:59126)

Property Details

MLS® Number 202602150
Property Type Vacant Land
Community Name Greenfield
Features Treed, Hardwood Bush

Building

Utility Water None

Land

Acreage Yes
Sewer No Sewage System
Size Irregular 1.3409
Size Total 1.3409 Ac
Size Total Text 1.3409 Ac

Parking

None

https://www.realtor.ca/real-estate/29325586/gm25-1-charmac-road-greenfield-greenfield

Contact Us

Contact us for more information

Generating Captcha

    Your Name *

    Your Email *

    Your Contact Number *

    Subject

    Your Message

    Thank you for contacting us, one of our colleagues will contact you shortly. Thank you.

    Lakeridge Property International

    close-link