Search a Street, City, Province, RP Number or MLS® Number
 

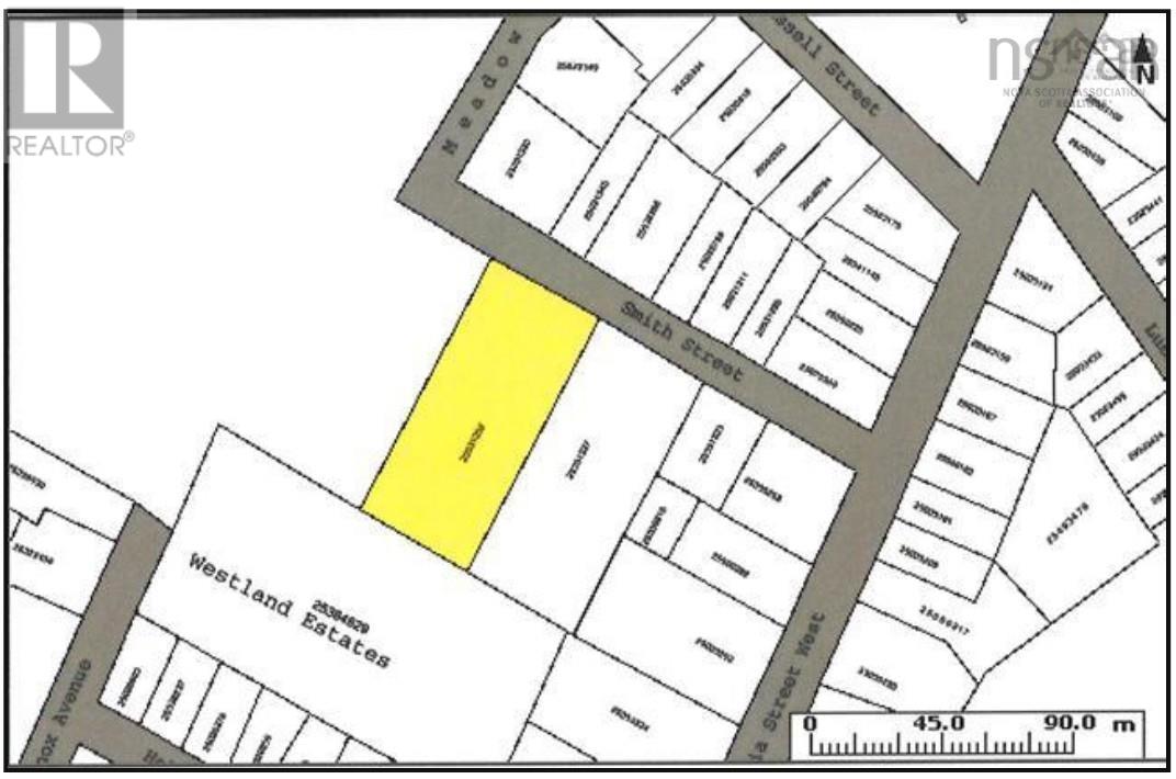
8 Smith Street Amherst, Nova Scotia B4H 2P9

No favourites found!

 

$259,000

MLS® Number: 202602958

Fantastic development opportunity in Amherst. This property comes with an approved Development agreement allowing for the construction of Two 12 unit apartment buildings for a total of 24 residential units. It's an excellent option for builders or investors looking to take on a multifamily project in a strong rental market with steady demand for quality housing. Municipal water and sewer services are available, and the Development Agreement along with rough building layouts can be provided for review. With the DA already in place, a buyer can move forward without the hassle of going through the development Agreement process, saving significant time and uncertainty. The site offers a clear path for planning and design, with a buyer's preferred approach. (id:59126)

Property Details

MLS® Number 202602958
Property Type Vacant Land
Community Name Amherst
Features Level Lot, Softwood Bush

Building

Utility Water Municipal Water

Land

Acreage No
Sewer Municipal Sewage System
Size Irregular 0.97
Size Total 0.97 Ac
Size Total Text 0.97 Ac

Parking

None

https://www.realtor.ca/real-estate/29372265/8-smith-street-amherst-amherst

Contact Us

Contact us for more information

Generating Captcha

    Your Name *

    Your Email *

    Your Contact Number *

    Subject

    Your Message

    Thank you for contacting us, one of our colleagues will contact you shortly. Thank you.

    Lakeridge Property International

    close-link