Search a Street, City, Province, RP Number or MLS® Number
 

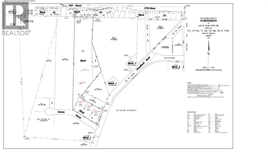
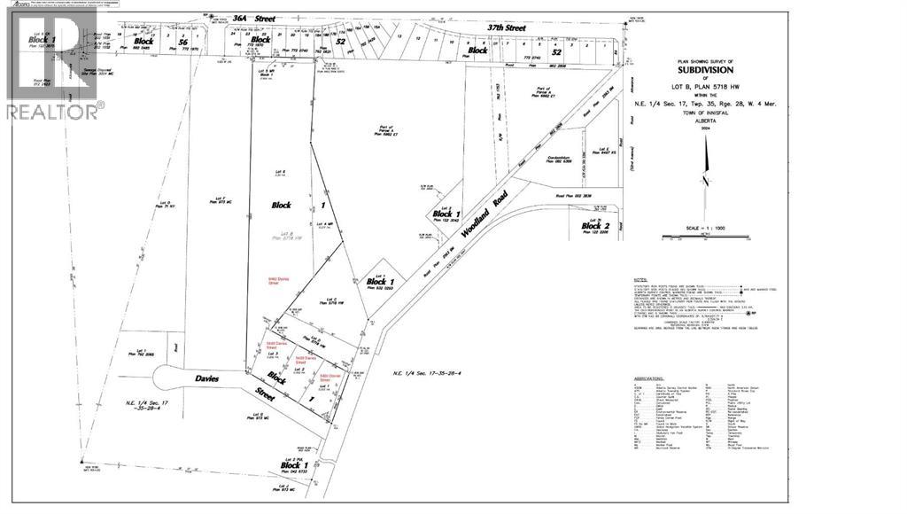
5400 Davies Street Innisfail, Alberta T4G 1E3

No favourites found!

 

$100,000

MLS® Number: A2284930

R-1C lot (s)!!! Don't miss your chance to place a manufactured home, bring your own builder and complete your dream home on this half an acre lot. This vacant lot is perfectly positioned in the community of beautiful Town of Innisfail. This prime lot offers unbeatable views and location inside the lovely town of Innisfail. It sits in an area with lots of trees. Birds singing and Deers running around. Nature is just right outside of your door. It is R1C to allow more efficient use of the land. There are 3 lots for sale next to each other, so bring your friends and families together to your next door. Owner can provide finance on the land. Currently there is no municipal services to the lots. You can use a water well or cistern for potable water and septic field or pump out tank for sanitary sewer. When the municipal services are available, the land will have to connect to the municipal service. It is possible that each of these parcels could be the subject of a future subdivision. (id:59126)

Property Details

MLS® Number A2284930
Property Type Vacant Land
Amenities Near By Schools, Shopping
Plan 2421471

Building

Age Age Is Unknown

Land

Acreage No
Fence Type Not Fenced
Land Amenities Schools, Shopping
Size Depth 59.01 M
Size Frontage 35.41 M
Size Irregular 0.50
Size Total 0.5 Ac|10,890 - 21,799 Sqft (1/4 - 1/2 Ac)
Size Total Text 0.5 Ac|10,890 - 21,799 Sqft (1/4 - 1/2 Ac)
Zoning Description R-1c

https://www.realtor.ca/real-estate/29338564/5400-davies-street-innisfail

Contact Us

Contact us for more information

Generating Captcha

    Your Name *

    Your Email *

    Your Contact Number *

    Subject

    Your Message

    Thank you for contacting us, one of our colleagues will contact you shortly. Thank you.

    Lakeridge Property International

    close-link