Search a Street, City, Province, RP Number or MLS® Number
 

531063 Rge Rd 73 Rural Two Hills No. 21, Alberta T0B 1A0

No favourites found!

 

$368,600

MLS® Number: A2266410
5 3 100

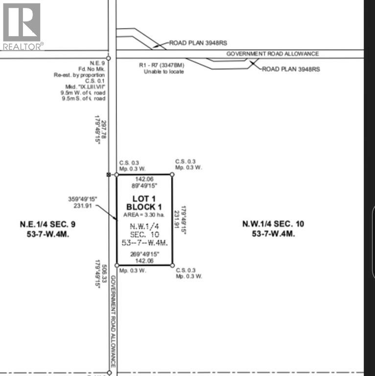
Experience the peace and space of rural Alberta living on this newly subdivided 8.15-acre acreage perfectly situated between Vermilion and Derwent on Range Road 73. Step inside the sprawling bungalow where comfort meets country charm. The main level offers three bedrooms, two bathrooms, and a functional main-floor laundry area—ideal for busy family life. The large living spaces provide plenty of room to gather, and the partially finished basement adds even more versatility, bringing the total to five bedrooms and three bathrooms. With central air conditioning, 2x6 construction, and newer shingles, this home was built for lasting comfort and efficiency. Outside, you’ll appreciate the thoughtfully updated infrastructure: a brand-new septic system, new drilled well, and existing power and natural gas services make life easy and reliable. The property also includes an oversized 24 x 30 detached double garage and a 30 x 40 quonset—perfect for vehicles, workshop use, or extra storage. Situated across the yard are several older outbuildings and sheds that offer endless potential for repurposing. There’s even a bored well and additional well near the old garden area, giving you flexibility for watering or hobby farming. The power pole base is prepped for a generator, providing peace of mind with optional backup power. Whether you’re dreaming of a small hobby farm, a private country retreat, or simply a place to raise a family with room to roam, this acreage combines modern upgrades with timeless prairie appeal. With its convenient location, solid systems, and open land, it’s an excellent opportunity to enjoy rural Alberta living at its finest. PT. NW-10-53-7-W4 (taxes TBD) (id:59126)

Property Details

MLS® Number A2266410
Property Type Single Family
Features Wet Bar
Parking Space Total 100
Structure Shed, See Remarks

Building

Bathroom Total 3
Bedrooms Above Ground 4
Bedrooms Below Ground 1
Bedrooms Total 5
Appliances None
Architectural Style Bungalow
Basement Development Partially Finished
Basement Type Full (partially Finished)
Constructed Date 1984
Construction Material Wood Frame
Construction Style Attachment Detached
Cooling Type Central Air Conditioning
Fireplace Present Yes
Fireplace Total 1
Flooring Type Laminate, Linoleum
Foundation Type Poured Concrete
Heating Fuel Natural Gas
Heating Type Forced Air
Stories Total 1
Size Interior 1,536 Ft2
Total Finished Area 1536 Sqft
Type House
Utility Water Well

Rooms

Level Type Dimensions
Basement 3pc Bathroom 2.32 M x 2.43 M
Basement Bedroom 3.92 M x 3.69 M
Main Level 3pc Bathroom 1.56 M x 3.12 M
Main Level 4pc Bathroom 3.54 M x 1.53 M
Main Level Bedroom 3.54 M x 3.08 M
Main Level Bedroom 4.29 M x 3.65 M
Main Level Bedroom 3.54 M x 3.09 M
Main Level Bedroom 3.64 M x 3.04 M

Land

Acreage Yes
Fence Type Not Fenced
Sewer Mound, Septic System
Size Irregular 8.15
Size Total 8.15 Ac|5 - 9.99 Acres
Size Total Text 8.15 Ac|5 - 9.99 Acres
Zoning Description Cr

Parking

Detached Garage 2

https://www.realtor.ca/real-estate/29022547/531063-rge-rd-73-rural-two-hills-no-21-county-of

Contact Us

Contact us for more information

Generating Captcha

    Your Name *

    Your Email *

    Your Contact Number *

    Subject

    Your Message

    Thank you for contacting us, one of our colleagues will contact you shortly. Thank you.

    Lakeridge Property International

    close-link