Search a Street, City, Province, RP Number or MLS® Number
 

5002 50 Street Dewberry, Alberta T0B 1G0

No favourites found!

 

$33,000

MLS® Number: A2113269

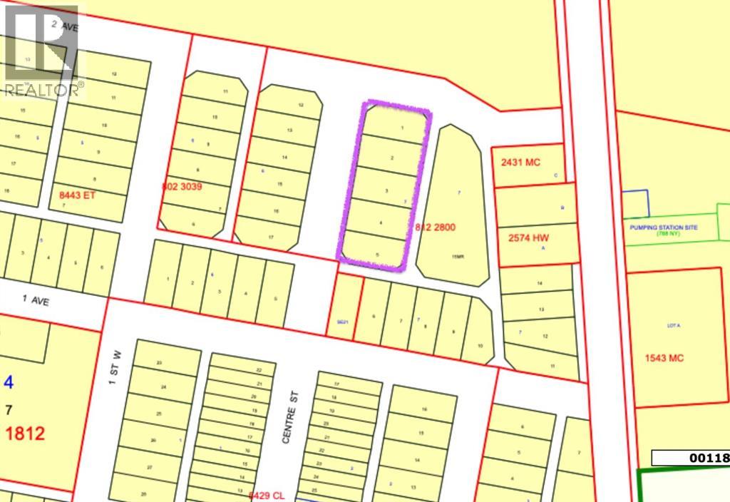
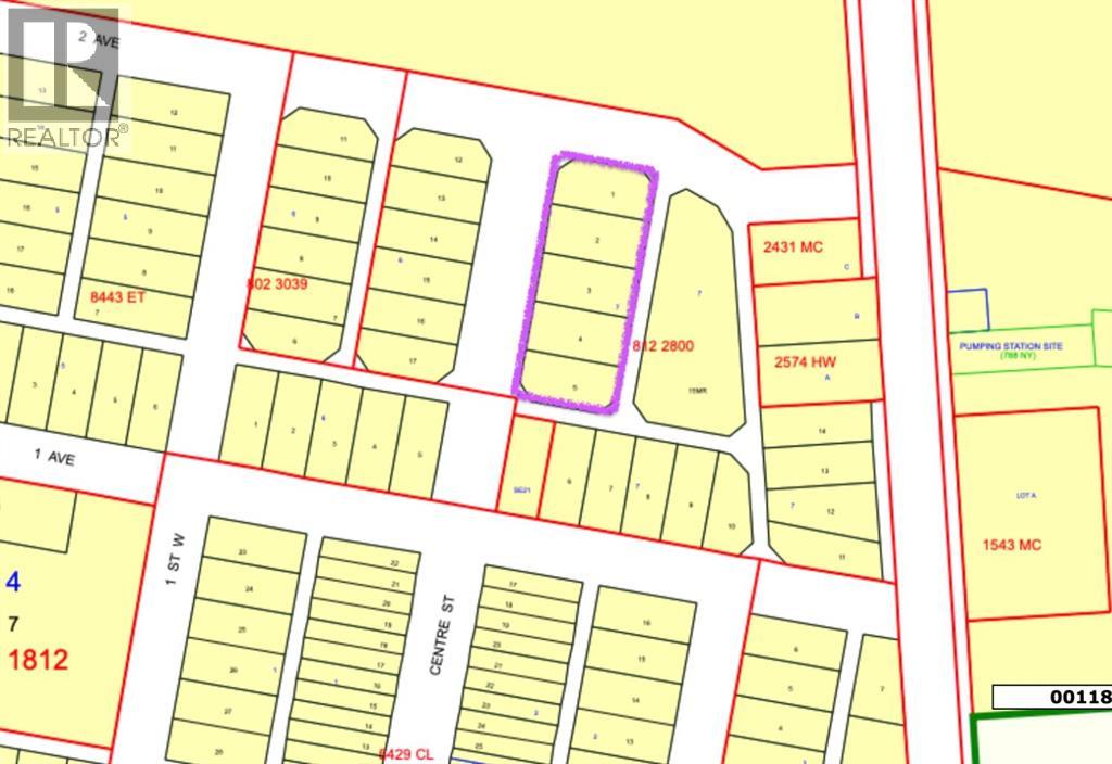
Showcase your business in the village of Dewberry with these 5 connected affordable commercial lots. Located in rural Alberta, these lots offer an ideal setting for entrepreneurs looking to establish a presence in a thriving community.Spanning across these spacious lots, envision your next commercial venture taking shape – whether it's a retail outlet, service-oriented business, or a mixed-use development. With affordability and flexibility at the forefront, these lots present endless possibilities for creative minds.For those seeking a building to complement this land, explore the two large commercial properties currently listed nearby. These properties provide additional space and amenities, perfect for enhancing your business concept and maximizing its potential. Nestled across from the Dewberry museum, these lots benefit from the village's welcoming community, scenic surroundings, and strategic location. Don't delay – explore these lots and embark on your journey towards commercial success in rural Alberta! (id:59126)

Property Details

MLS® Number A2113269
Property Type Vacant Land
Community Name Dewberry
Plan 8122800

Building

Age Age Is Unknown

Land

Acreage No
Fence Type Not Fenced
Size Irregular 32500.00
Size Total 32500 Sqft|21,780 - 32,669 Sqft (1/2 - 3/4 Ac)
Size Total Text 32500 Sqft|21,780 - 32,669 Sqft (1/2 - 3/4 Ac)
Zoning Description C

https://www.realtor.ca/real-estate/26601145/5002-50-street-dewberry-dewberry

Contact Us

Contact us for more information

Generating Captcha

    Your Name *

    Your Email *

    Your Contact Number *

    Subject

    Your Message

    Thank you for contacting us, one of our colleagues will contact you shortly. Thank you.

    Lakeridge Property International

    close-link