Search a Street, City, Province, RP Number or MLS® Number
 

4442 69 Street Camrose, Alberta T4V 2P7

No favourites found!

 

$122,500

MLS® Number: A2016842

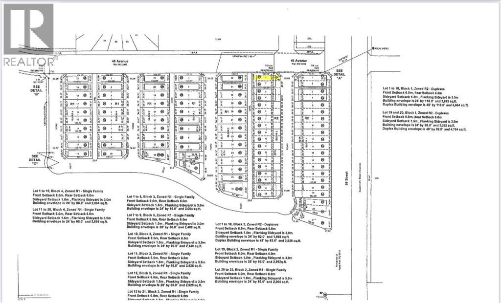
Welcome to West Park's newest development....Lakeside!!! This development is situated close to shopping and dining. You can access the walking path along the lake and build your own home! Don't miss out on an amazing opportunity in 2026. (id:59126)

Property Details

MLS® Number A2016842
Property Type Vacant Land
Community Name West Park
Amenities Near By Shopping
Plan 2521037
Structure None

Building

Age Age Is Unknown

Land

Acreage No
Fence Type Not Fenced
Land Amenities Shopping
Size Depth 46.94 M
Size Frontage 8.84 M
Size Irregular 3538.00
Size Total 3538 Sqft|0-4,050 Sqft
Size Total Text 3538 Sqft|0-4,050 Sqft
Zoning Description R2

https://www.realtor.ca/real-estate/25208077/4442-69-street-camrose-west-park

Contact Us

Contact us for more information

Generating Captcha

    Your Name *

    Your Email *

    Your Contact Number *

    Subject

    Your Message

    Thank you for contacting us, one of our colleagues will contact you shortly. Thank you.

    Lakeridge Property International

    close-link