Search a Street, City, Province, RP Number or MLS® Number
 

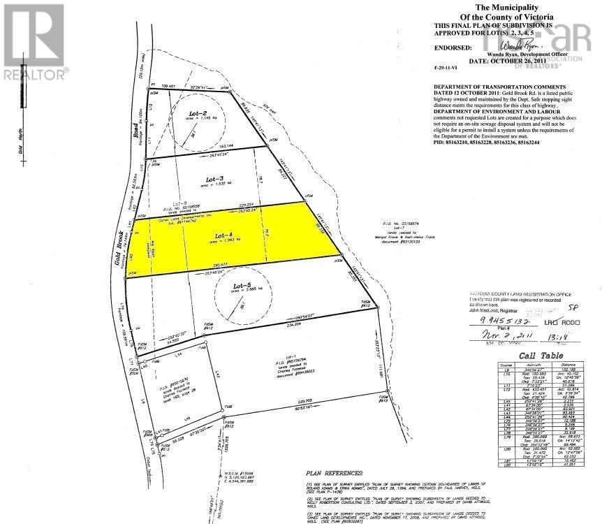
3 Lots Gold Brook Road Upper Middle River, Nova Scotia B0E 1B0

No favourites found!

 

$99,000

MLS® Number: 202426003

This unique property with a total of three lots can be found in a beautiful natural location on the world-famous Cabot Trail on Cape Breton and close to the spacious "Middle River Wilderness Area" nature reserve. The largest lot (Lot 4) is 4.9 Acres with a wonderful mixed forest, which can be accessed via Gold Brook Road. Electricity is available directly on the property. Here you can build in a wonderful panoramic location. The two other adjoining lots (Parcel C and Parcel D totalling 3.9 Acres) are at the rear of Gold Brook Road (only about 500 meters away). These two properties each have a wonderful river frontage, Parcel D directly on the Middle River, Parcel C on a beautiful inlet of the main river. Here too, there is a power supply on the street in front of the properties. An absolute dream awaits every hunter, angler, and fly fisher, but of course also for all nature lovers who are looking for a spacious retreat with a variety of uses in a wild, romantic and natural setting. It is just approximately 20 minutes drive to Margaree Forks with the necessary shops for daily needs or to the popular village of Baddeck on the Bras dOr Lake. Cheticamp or the world-famous golf resort in Inverness is approximately 45 minutes away. Cape Breton Highlands, with its spectacular national park, is just under 1 hour away. (id:59126)

Property Details

MLS® Number 202426003
Property Type Vacant Land
Community Name Upper Middle River
Features Treed
View Type River View
Water Front Type Waterfront On River

Building

Utility Water None

Land

Acreage Yes
Sewer No Sewage System
Size Irregular 8.8192
Size Total 8.8192 Ac
Size Total Text 8.8192 Ac

Parking

None

https://www.realtor.ca/real-estate/27615645/3-lots-gold-brook-road-upper-middle-river-upper-middle-river

Contact Us

Contact us for more information

Generating Captcha

    Your Name *

    Your Email *

    Your Contact Number *

    Subject

    Your Message

    Thank you for contacting us, one of our colleagues will contact you shortly. Thank you.

    Lakeridge Property International

    close-link