Search a Street, City, Province, RP Number or MLS® Number
 

256142 Whiskey Springs Hill W Rural Foothills County, Alberta T0L 1W4

No favourites found!

 

$697,250

MLS® Number: A2280993

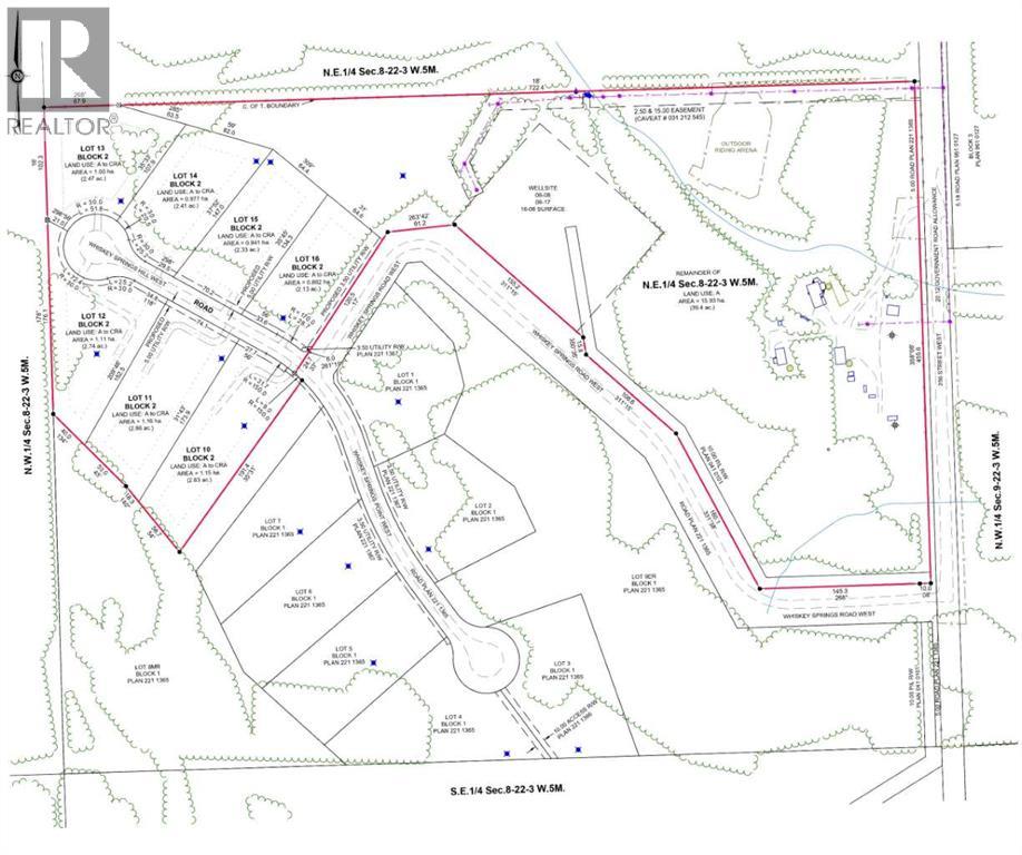
Discover this rare opportunity to own a breathtaking 2.33-acre parcel in one of the most private and picturesque rural subdivisions in Foothills County. It feels like you can touch the sky from the exclusive 14-lot development southwest of Priddis, this corner lot offers panoramic views of the majestic Rocky Mountains and the City of Calgary skyline — truly awe-inspiring backdrops for your dream home. With only 2 lots still available, this limited offering is an opportunity to build in a serene, upscale, rural community surrounded by nature, wildlife, and the vibrant colors of native wildflowers like Western Wood Lilies. Strategic placement of the large municipal reserve and abundant environmental reserves will help maintain the sense of tranquility and privacy for the lucky residents who settle here. Enjoy the freedom to build on your timeline—there are no building commencement deadlines, and thoughtfully designed restrictive covenants protect your investment without limiting your vision. Utilities, including gas and electricity, are conveniently located at the property line, and a drilled well is already in place. Located just 25 minutes from Calgary via Hwy 22X and the south leg of the Ring Road, this property blends rural lifestyle with easy city access. The community is served by both public and separate schools and is minutes from the Priddis Greens Golf Course and the outdoor paradise of Kananaskis Country. Nearby, the hamlet of Priddis has over 120 years of history of being the hub of social and team activities to suit all age groups—making this an ideal setting for families or anyone seeking a nature-immersed lifestyle community. Don't miss this once-in-a-lifetime opportunity to secure your slice of paradise with views that must be seen to be believed. Click "additional images" for the link for a 360° tour and experience the full beauty of this remarkable property in every direction. Note: Only 2 lots remain in this spectacular development! Av ailable lots are: Lot 10 and EITHER Lot 14 OR 15 (but not both). (id:59126)

Property Details

MLS® Number A2280993
Property Type Vacant Land
Communication Type High Speed Internet, Satellite Internet Access
Community Features Pets Allowed
Features Cul-de-sac, Treed, No Neighbours Behind
Plan 2510512
View Type View

Building

Age Age Is Unknown
Utility Water Well

Land

Acreage Yes
Fence Type Not Fenced
Sewer No Sewage System
Size Irregular 2.33
Size Total 2.33 Ac|2 - 4.99 Acres
Size Total Text 2.33 Ac|2 - 4.99 Acres
Zoning Description Cra

https://www.realtor.ca/real-estate/29281829/256142-whiskey-springs-hill-w-rural-foothills-county

Contact Us

Contact us for more information

Generating Captcha

    Your Name *

    Your Email *

    Your Contact Number *

    Subject

    Your Message

    Thank you for contacting us, one of our colleagues will contact you shortly. Thank you.

    Lakeridge Property International

    close-link