Search a Street, City, Province, RP Number or MLS® Number
 

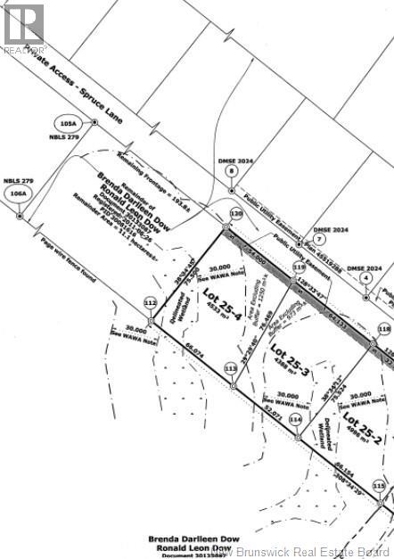
25-3 Spruce Lane Damascus, New Brunswick E5N 4B7

No favourites found!

 

$29,000

MLS® Number: NB130156

Looking to build a cottage or home away from it all, but still close enough to everything? This could be the one. 1 Acre lot of heaven on a private road with beach access could be yours. Power is available on the road making hook up easy. Deeded beach rights with access to Terreo Lake where you can swim, fish, skate and even enjoy small watercrafts. HST is applicable. (id:59126)

Property Details

MLS® Number NB130156
Property Type Vacant Land
Amenities Near By Recreation Nearby
Community Features Fishing
Features Beach

Building

Utility Water None

Land

Access Type Year-round Access, Private Road
Acreage Yes
Land Amenities Recreation Nearby
Sewer No Sewage System
Size Irregular 4388
Size Total 4388 M2
Size Total Text 4388 M2

https://www.realtor.ca/real-estate/29166928/25-3-spruce-lane-damascus

Contact Us

Contact us for more information

Generating Captcha

    Your Name *

    Your Email *

    Your Contact Number *

    Subject

    Your Message

    Thank you for contacting us, one of our colleagues will contact you shortly. Thank you.

    Lakeridge Property International

    close-link