Search a Street, City, Province, RP Number or MLS® Number
 

1445 Scarlett Ranch Boulevard Carstairs, Alberta T0M 0N0

No favourites found!

 

$3,990,000

MLS® Number: A2198926

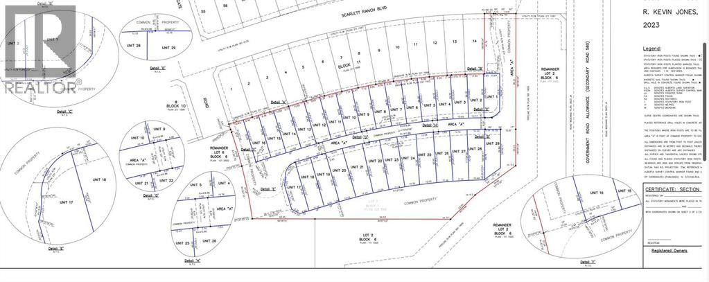
Serviced, ready to build lots available in Carstairs, total 27, smaller batch purchase available, some with plans and have commenced constructions. 27 lots available, minimum purchase 13 lots. Average $100k per lot (half duplex lot). Condo building in this zone only. Also undeveloped land available 20-60 acres, priced to sell.Land is within the townsite of Carstairs. Great existing community, with Schools. Sports grounds nearby. For developers and builders thatis ready to built. New houses are already built across the street. Excellent opportunity given the proximity to HWY 2 and Calgary. 25 minutes to Airdrie, 39 minutes to Calgary (54km). Total 60 acres available. Seller is motivated. (id:59126)

Property Details

MLS® Number A2198926
Property Type Vacant Land
Plan 1210982

Building

Age Age Is Unknown

Land

Acreage Yes
Fence Type Not Fenced
Size Irregular 22.00
Size Total 22 Ac|10 - 49 Acres
Size Total Text 22 Ac|10 - 49 Acres
Zoning Description R1

https://www.realtor.ca/real-estate/27976156/1445-scarlett-ranch-boulevard-carstairs

Contact Us

Contact us for more information

Generating Captcha

    Your Name *

    Your Email *

    Your Contact Number *

    Subject

    Your Message

    Thank you for contacting us, one of our colleagues will contact you shortly. Thank you.

    Lakeridge Property International

    close-link