Search a Street, City, Province, RP Number or MLS® Number
 

3146 Township Road 360 Rural Red Deer County, Alberta T4G 0N2

No favourites found!

 

$525,000

MLS® Number: A2288151
3 1 10

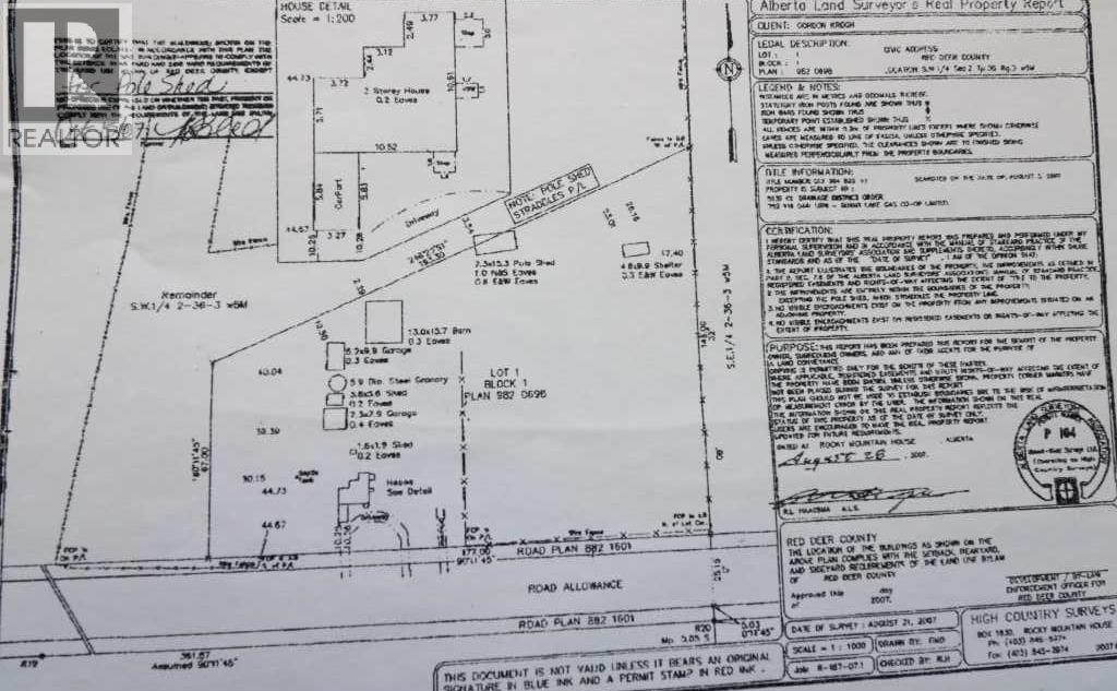
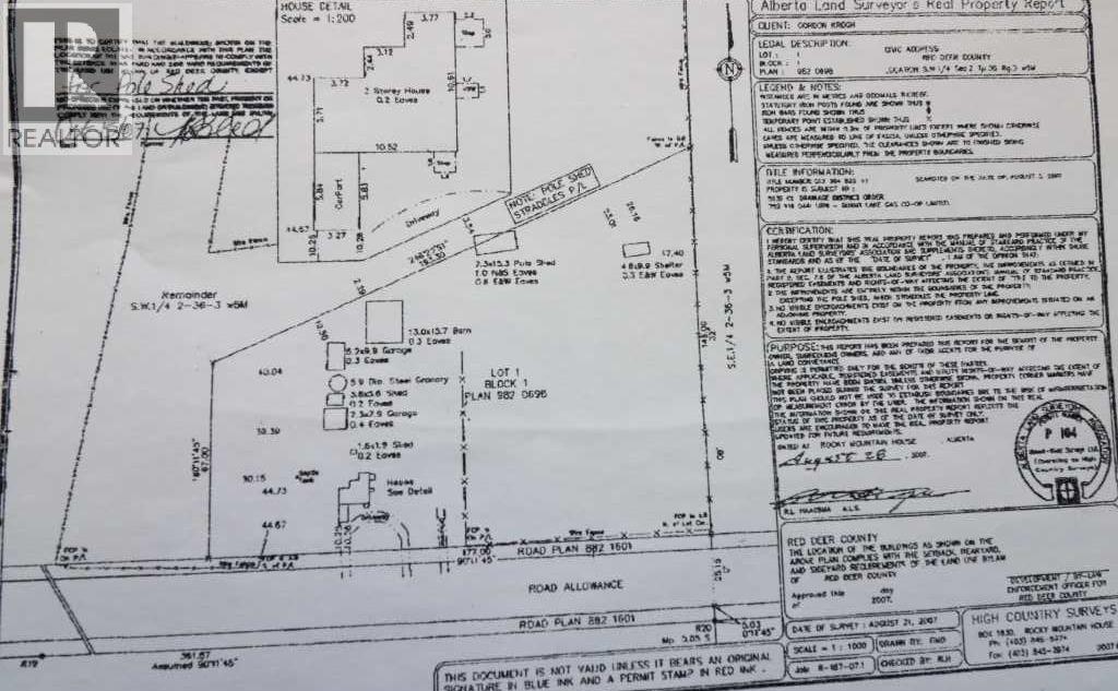
If the noise and congestion of city or town life are getting under that one nerve, here is an opportunity to leave that lifestyle behind. This 4.64-acre property is partly fenced and offers a practical setup for a horse or two, some sheep, or chickens.For the gardener, this property is a true paradise. In addition to a dedicated garden area and a 10’x20’ greenhouse equipped with propane heat (propane tanks are leased), the grounds are lush and productive. The landscape features 13 apple trees across three varieties, plum trees, cherry trees, Saskatoons, grapes, raspberries, and strawberries. There are also over 100 different perennials tucked into numerous gardens, including a specialized medicinal garden.The property includes several functional outbuildings: a 32’x10’ storage shop, a 24’x26’ double detached garage, and various miscellaneous structures. The large, treed yard is home to a character 1.5-story house featuring three bedrooms, a dining room, a large living room with a wood-burning stove, and a loft area for crafts or extra space. Over the years, the home has seen several thoughtful improvements, including updated windows and doors, some light fixtures, and a metal roof. Additionally, the old lath and plaster walls have been replaced with drywall.The yard is expansive enough that family and friends can visit with their RVs, making it a great spot for gatherings and memories. A nice bonus is the location, situated just west of the town of Dickson, with easy access to Glennifer Lake. You are also conveniently located within 25 minutes of Innisfail, 30 minutes of Sylvan Lake, and 45 minutes of Red Deer. Don’t miss out—call your Realtor® today to book your viewing appointment. (id:59126)

Property Details

MLS® Number A2288151
Property Type Single Family
Amenities Near By Golf Course, Water Nearby
Community Features Golf Course Development, Lake Privileges, Fishing
Features Treed, See Remarks, Pvc Window, Level
Parking Space Total 10
Plan 9820698
Structure Greenhouse, See Remarks, Dog Run - Fenced In
View Type View

Building

Bathroom Total 1
Bedrooms Above Ground 3
Bedrooms Total 3
Appliances Washer, Refrigerator, Dishwasher, Stove, Dryer
Basement Development Unfinished
Basement Type Full (unfinished)
Constructed Date 1940
Construction Material Wood Frame
Construction Style Attachment Detached
Cooling Type None
Exterior Finish Stucco
Fireplace Present Yes
Fireplace Total 1
Flooring Type Hardwood, Laminate
Foundation Type Poured Concrete
Heating Fuel Propane
Heating Type Forced Air
Stories Total 2
Size Interior 1,579 Ft2
Total Finished Area 1578.86 Sqft
Type House
Utility Water Well

Rooms

Level Type Dimensions
Main Level Dining Room 3.30 M x 4.20 M
Main Level Kitchen 3.00 M x 4.00 M
Main Level Living Room 5.30 M x 3.50 M
Main Level Primary Bedroom 3.60 M x 3.90 M
Main Level 4pc Bathroom Measurements not available
Upper Level Bedroom 2.90 M x 3.20 M
Upper Level Bedroom 4.00 M x 3.50 M
Upper Level Loft 3.40 M x 2.50 M

Land

Acreage Yes
Fence Type Partially Fenced
Land Amenities Golf Course, Water Nearby
Landscape Features Fruit Trees, Garden Area, Landscaped
Sewer Septic Field, Septic Tank
Size Irregular 4.64
Size Total 4.64 Ac|2 - 4.99 Acres
Size Total Text 4.64 Ac|2 - 4.99 Acres
Zoning Description Ag

Parking

Carport
Detached Garage 2

https://www.realtor.ca/real-estate/29388733/3146-township-road-360-rural-red-deer-county

Contact Us

Contact us for more information

Generating Captcha

    Your Name *

    Your Email *

    Your Contact Number *

    Subject

    Your Message

    Thank you for contacting us, one of our colleagues will contact you shortly. Thank you.

    Lakeridge Property International

    close-link